Columbia County is committed to ensuring accessibility to this website regardless of disability. If anyone encounters a feature on this website that is inaccessible due to a disability, please contact the County Manger’s Office and the Columbia County Board of County Commissioners at (386) 758-1005. You may also email that office at patrick_weaver@columbiacountyfla.com and provide a brief description of the inaccessible feature. The County will either correct the inaccessible feature or, if correction is not possible due to technical limitations, provide the desired information through alternative means.

Skip to content

Columbia County, FL | Permit Details

Right-of-Way Access/Driveway Permit

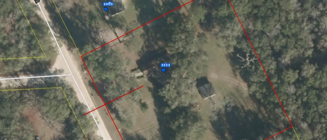
Address 1111 SW BOBCAT DR
FORT WHITE, FL 32038
Parcel #: 10024-088
Acres: 2.07
Owner: Smith Rodney K, Smith Kathryn Jean
Subdivision:
Zoning:
Flood Zone:
District:
Application #: 74488
Permit #: 000054674
Related Permit: Storage Building: 000054774
Submitted: Tuesday, December 9, 2025
Issued: Monday, December 15, 2025
Expires: Monday, December 15, 2025
Completed: Monday, December 15, 2025
Status: Completed
Septic Release? na
Notes:

Job Details
Finished floor requirement
Fema map number 12023C0532C
Status Permanent
Type of connection for access road Verify Existing Drive
Type of construction of property Other
If the type of construction is not listed, please describe below carport
Normal vehicle usage: Automobiles
Estimated Number of Vehicle trips per day 1
Is the access for commercial or residential use? Residential
Review Notes
12/9/2025 Application submitted by applicant.
12/9/2025 Pending Public Works Application Approval
12/12/2025 Application Approved by Public Works
12/15/2025 Permit Issued
Contractors
Name/ Business License Title Role
Inspections
Inspection Notes Performed By Date
Passed: Engineering - ROW Access/Driveway connects to county maintained road Chad Williams 12/10/2025
Passed: Engineering - Verify existing driveway Beach, Garrett 12/15/2025
Documents
File Name Date File Size
Driveway_application_drawing.jpg 2025.12.17 113.74kB
Img_1234.jpeg 2025.12.17 2.29MB
Original Permit 20251215.pdf 2025.12.17 28.81kB
Application.pdf 2025.12.17 32.29kB
Inspections Checklist.pdf 2025.12.17 101.62kB