Columbia County is committed to ensuring accessibility to this website regardless of disability. If anyone encounters a feature on this website that is inaccessible due to a disability, please contact the County Manger’s Office and the Columbia County Board of County Commissioners at (386) 758-1005. You may also email that office at patrick_weaver@columbiacountyfla.com and provide a brief description of the inaccessible feature. The County will either correct the inaccessible feature or, if correction is not possible due to technical limitations, provide the desired information through alternative means.

Skip to content

Columbia County, FL | Permit Details

Right-of-Way Access/Driveway Permit

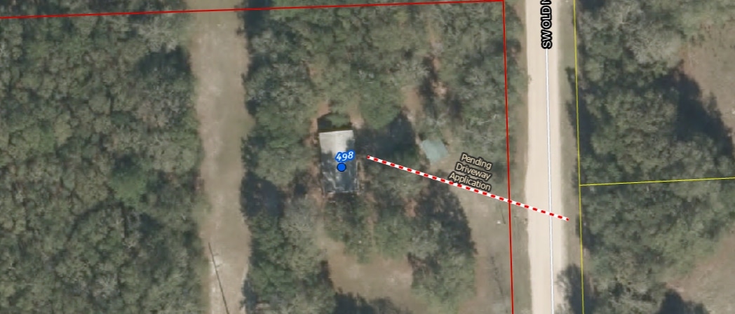
Address 498 SW OLD NIBLACK AVE
Parcel #: 04076-134
Acres: 5.00
Owner: Chaffee Joseph, Augustino Kristie
Subdivision:
Zoning:
Flood Zone:
District:
Application #: 73582
Permit #: 000054474
Related Permit: Storage Building: 000054741
Submitted: Friday, October 3, 2025
Issued: Thursday, November 13, 2025
Expires: Thursday, November 13, 2025
Completed: Thursday, November 13, 2025
Status: Completed
Septic Release? na
Notes:

Job Details
Finished floor requirement
Fema map number 12023C0495C
Status Permanent
Type of connection for access road Verify Existing Drive
Type of construction of property None
If the type of construction is not listed, please describe below detached garage
Normal vehicle usage: Automobiles
Estimated Number of Vehicle trips per day 2
Is the access for commercial or residential use? Residential
Review Notes
10/7/2025 Application submitted by applicant.
10/7/2025 Pending Public Works Application Approval
10/7/2025 Application submitted by applicant.
10/7/2025 Pending Public Works Application Approval
10/15/2025 Final Review - Documents Required
10/25/2025 Final Review - Documents Required
11/12/2025 Application Approved by Public Works
11/13/2025 Permit Issued
Contractors
Name/ Business License Title Role
Donald E Little
Tubular Building Systems Llc
CBC1262211 Cert. Building Contractor
Inspections
Inspection Notes Performed By Date
Passed: Engineering - ROW Access/Driveway connects to county maintained road Chad Williams 10/8/2025
Failed: Engineering - Verify Easement Requirements Please Provide Proof Of Ingress/egress. The Submitted Driveway Sketch Proposes Access Over Parcel 04076-130, And This Is Not Reflected On The Submitted Deed. Chad Williams 10/8/2025
Failed: Engineering - Verify Easement Requirements Chad Williams 11/5/2025
Passed: Engineering - Verify existing driveway Smith, Blake 11/13/2025