Columbia County is committed to ensuring accessibility to this website regardless of disability. If anyone encounters a feature on this website that is inaccessible due to a disability, please contact the County Manger’s Office and the Columbia County Board of County Commissioners at (386) 758-1005. You may also email that office at patrick_weaver@columbiacountyfla.com and provide a brief description of the inaccessible feature. The County will either correct the inaccessible feature or, if correction is not possible due to technical limitations, provide the desired information through alternative means.

Skip to content

Columbia County, FL | Permit Details

Right-of-Way Access/Driveway Permit

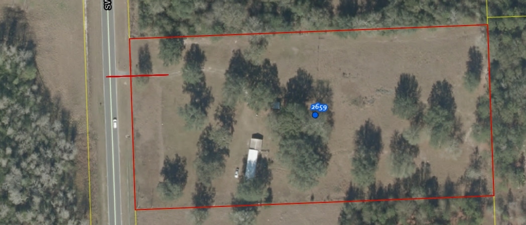
Address 2659 SW OLD WIRE RD
LAKE CITY, FL 32024
Parcel #: 03707-111
Acres: 5.01
Owner: Mathis Johnny L, Mathis Karen E
Subdivision:
Zoning:
Flood Zone:
District:
Application #: 74179
Permit #: 000054460
Related Permit:
Submitted: Friday, November 7, 2025
Issued: Wednesday, November 12, 2025
Expires: Wednesday, November 12, 2025
Completed: Wednesday, November 12, 2025
Status: Completed
Septic Release? na
Notes:

Job Details
Finished floor requirement
Fema map number 12023C0395C
Type of connection for access road Verify Existing Drive
Type of construction of property Site Built Home
Normal vehicle usage: Automobiles
Estimated Number of Vehicle trips per day 2
Is the access for commercial or residential use? Residential
Review Notes
11/7/2025 Application pending.
11/7/2025 Application submitted by applicant.
11/7/2025 Pending Public Works Application Approval
11/12/2025 Application Approved by Public Works
11/12/2025 Permit Issued
Contractors
Name/ Business License Title Role
Inspections
Inspection Notes Performed By Date
Passed: Engineering - ROW Access/Driveway connects to county maintained road Chad Williams 11/10/2025
Passed: Engineering - Verify existing driveway Smith, Blake 11/12/2025
Documents
File Name Date File Size
Inspections Checklist.pdf 2025.11.19 101.54kB
Property Appraiser Parcel Details Printed Page 20251107 133039.pdf 2025.11.19 163.06kB
Recorded Deed 20251107 133039.pdf 2025.11.19 163.06kB
Proposed Site Plan 20251107 133039.pdf 2025.11.19 163.06kB
Original Permit 20251112.pdf 2025.11.12 42.67kB
Image.jpg 2025.11.12 7.53MB
Application.pdf 2025.11.07 105.39kB
Driveway_application_drawing.png 2025.11.07 938.64kB