Columbia County is committed to ensuring accessibility to this website regardless of disability. If anyone encounters a feature on this website that is inaccessible due to a disability, please contact the County Manger’s Office and the Columbia County Board of County Commissioners at (386) 758-1005. You may also email that office at patrick_weaver@columbiacountyfla.com and provide a brief description of the inaccessible feature. The County will either correct the inaccessible feature or, if correction is not possible due to technical limitations, provide the desired information through alternative means.

Skip to content

Columbia County, FL | Permit Details

Right-of-Way Access/Driveway Permit

Address
,
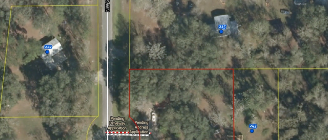
Parcel #: 01772-017
Acres: 0.99
Owner: Williams Corey L
Subdivision: Pinehills
Zoning: A-3
Flood Zone: X
District: 1
Application #: 74007
Permit #: 000054371
Related Permit: Mobile Home: 000054528
Submitted: Monday, October 27, 2025
Issued: Thursday, October 30, 2025
Expires: Thursday, October 30, 2025
Completed: Thursday, October 30, 2025
Status: Completed
Septic Release? na
Notes:

Job Details
Finished floor requirement
Fema map number 12023C0186D
Status Permanent
Type of connection for access road Verify Existing Drive
Type of construction of property Mobile Home
Normal vehicle usage: Automobiles
Estimated Number of Vehicle trips per day 4
Is the access for commercial or residential use? Residential
Review Notes
10/27/2025 Application submitted by applicant.
10/27/2025 Pending Public Works Application Approval
10/30/2025 Application Approved by Public Works
10/30/2025 Permit Issued
Contractors
Name/ Business License Title Role
William R Price
Price Rite Enterprises
IH1041936 Mh Installer (ih) Contractor
William R Price
Price Rite Enterprises
IH1041936 Mh Installer (ih) Subcontractor
William R Price
Price Rite Enterprises
IH1041936 Mh Installer (ih) Subcontractor
Inspections
Inspection Notes Performed By Date
Passed: Engineering - ROW Access/Driveway connects to county maintained road Chad Williams 10/28/2025
Passed: Engineering - Verify existing driveway Beach, Garrett 10/30/2025
Documents
File Name Date File Size
Driveway_application_drawing.jpg 2025.10.30 116.54kB
Img_1149.jpeg 2025.10.30 3.71MB
Original Permit 20251030.pdf 2025.10.30 28.69kB
Application.pdf 2025.10.30 32.63kB
Inspections Checklist.pdf 2025.10.30 101.67kB