Permit Information

Right-of-Way Access/Driveway Permit

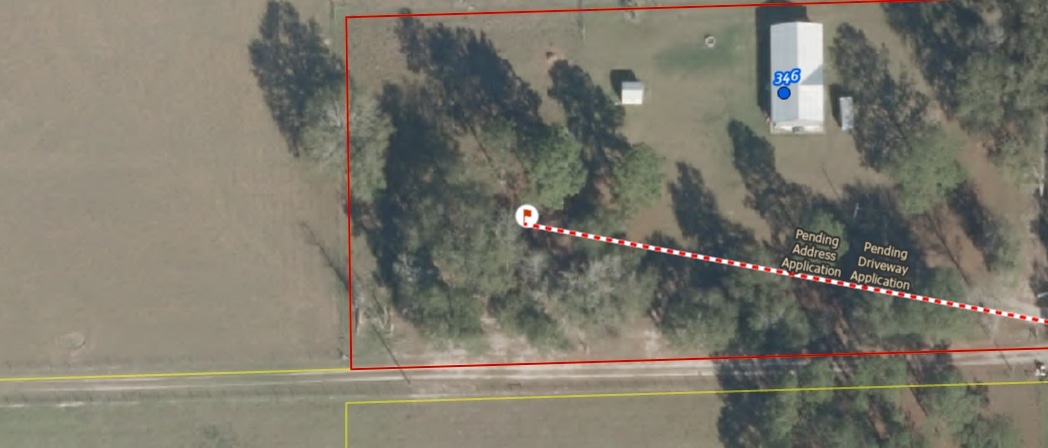
Address SW CHARLES TER
,
Parcel #: 00389-001
Acres:2.01
Owner:Mcguire Ellsworth J Sr, Mcguire Shakayla Ariana
Subdivision:
Zoning:
Flood Zone:
District:
Application #:73805
Permit #: 000054300
Related Permit: 911 Address Application:
Submitted:Wednesday, October 15, 2025
Issued:Wednesday, October 22, 2025
Expires:Wednesday, October 22, 2025
Completed:Wednesday, October 22, 2025
Status: Completed
Septic Release? N/A

Notes


Job Details

Finished floor requirement
Fema map number 12023C0360C
Status Permanent
Type of connection for access road Verify Existing Drive
Type of construction of property Mobile Home
Normal vehicle usage: Automobiles
Estimated Number of Vehicle trips per day 2
Is the access for commercial or residential use? Residential

Review Notes

10/15/2025 Pending applicant completion and submission.
10/17/2025 Application submitted by applicant.
10/17/2025 Pending Public Works Application Approval
10/21/2025 Application Approved by Public Works
10/22/2025 Permit Issued

Contractors

Name / Business License Title Role

Inspections

Inspection Notes Performed By Date
Passed: Engineering - ROW Access/Driveway connects to county maintained road Chad Williams 10/20/2025
Passed: Engineering - Verify existing driveway Beach, Garrett 10/22/2025

Documents

Contact Us

Building Department

Office Hours

Monday-Friday
8:00 A.M. - 4:30 P.M.

Contact Information

Phone: 386-758-1008
Fax: 386-758-2160

Email: bldginfo@columbiacountyfla.com

Location

135 NE Hernando Ave.
Lake City, FL 32055 (opens in new window)

Mailing Address

P.O. Box 1529
Lake City, FL 32056-1529

Public Records

Public records policy and fees

Board of County Commissioners
Tel. (386) 758-1326
Fax: (386) 758-2182
Email: publicrecords@columbiacountyfla.com

Mailing Address:
P.O. Box 1529
Lake City, FL 32056-1529

Citizen Feedback

Let us know how we're doing

ADA Accessibility

Columbia County is committed to ensuring accessibility to this website regardless of disability. If anyone encounters a feature on this website that is inaccessible due to a disability, please contact the Columbia County ADA Coordinator at (386) 758-3344. You may also email that office at hr@columbiacountyfla.com and provide a brief description of the inaccessible feature.

Columbia County strives to provide reasonable accommodations to help people with disabilities have an equal opportunity to participate in our public meetings. Please notify our ADA Coordinator at least 48 hours prior to the public meeting by calling (386) 758-3344.