Permit Information

Remodel Permit

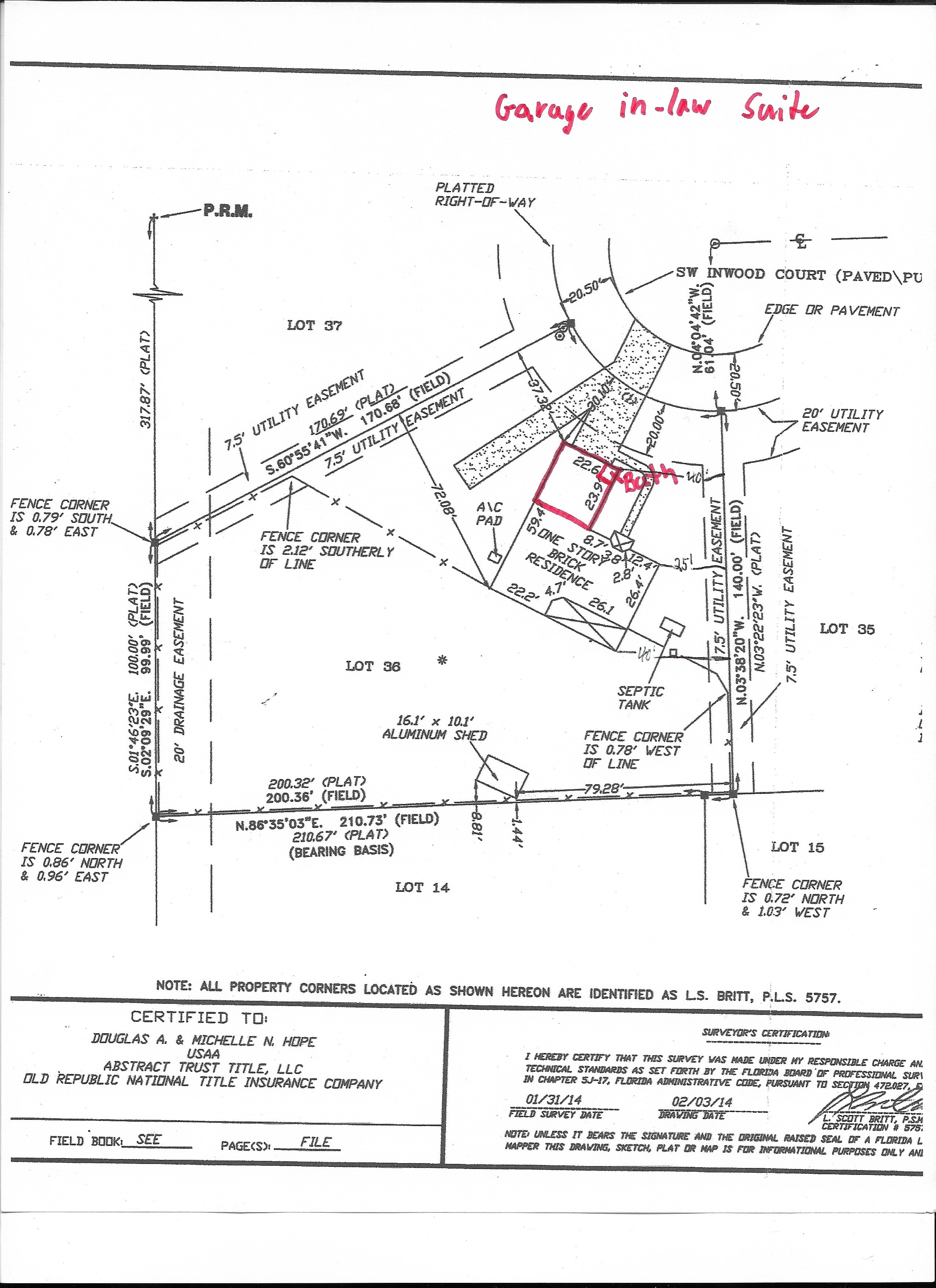
Address 336 SW INWOOD CT
LAKE CITY, FL 32025
Parcel #: 02939-136
Acres:0.66
Owner:Hope Douglas A, Hope Michelle N
Subdivision:Creekside
Zoning:RSF-2
Flood Zone:X
District:5
Application #:72826
Permit #: 000054202
Related Permit:
Submitted:Thursday, August 21, 2025
Issued:Monday, October 6, 2025
Expires:Thursday, March 19, 2026
Completed:Thursday, March 19, 2026
Status: Completed
Septic Release? Yes

Notes


Job Details

Finished floor requirement
Fema map number 12023C0291D
Type of Structure House
Commercial or Residential? Residential
Description of the work being performed: remodel garage
Septic# 25-0681
Building Code Construction Type V
Building Code Element B
Building Code Occupancy Types Residential
Building Code Edition 2023 Florida Building Code 8th Edition and 2020 National Electrical Code
Service Amps 200

Review Notes

8/21/2025 Application pending.
8/25/2025 Application submitted by applicant.
8/25/2025 Point Review - Reviewed
8/27/2025 Zoning Review - Corrections Needed
9/1/2025 Zoning Review - Corrections Needed
9/9/2025 Zoning Review - Corrections Needed
9/10/2025 Final Review - Corrections Needed
9/11/2025 Zoning Review - Corrections Needed
9/11/2025 Final Review - Corrections Needed
9/15/2025 Zoning Review - Corrections Needed
9/15/2025 Final Review - Corrections Needed
9/16/2025 Zoning Review - Corrections Needed
9/16/2025 Final Review - Corrections Needed
9/21/2025 Final Review - Corrections Needed
9/22/2025 Final Review - Corrections Needed
9/22/2025 Application submitted by applicant.
9/22/2025 Final Review - Corrections Needed
9/24/2025 Application submitted by applicant.
9/24/2025 Zoning Review - Reviewed
9/24/2025 Plan Review - Sent to plan review
9/30/2025 Plan Review - Reviewed
9/30/2025 Final Review - Sent for final review
10/6/2025 Final Review - Reviewed
10/6/2025 Final Review - Payment Needed
10/6/2025 Permit Issued
10/6/2025 Final Review - Complete

Contractors

Name / Business License Title Role
Jacob C Stratton
Sce Electric Inc.
Liability Insurance & Workers Comp Expired.
ER13016415 Reg. Electrical Subcontractor
Bradley Lasher
Customized Plumbing Solutions Llc
Liability Insurance Expired.
CFC1433418 Cert. Plumbing Subcontractor

Inspections

Inspection Notes Performed By Date
Septic Release Inspection Health Dept 8/21/2025
Passed: Plumbing/Gas - 1st Underground Rough–In Bathroom Rough Waste Lines Only Troy Crews 10/10/2025
Passed: Plumbing/Gas - 1st Underground Rough–In Lift Station And Force Main Line To The Existing Septic Troy Crews 10/15/2025
Passed: Electrical - 2nd Rough-In Anthony Aslan 10/31/2025
Passed: Building - Ext Strapping/Wall Sheathing Anthony Aslan 10/31/2025
Passed: Building - Framing Anthony Aslan 10/31/2025
Passed: Building - Insulation Anthony Aslan 10/31/2025
Passed: Building - Final Matt Forsyth 3/19/2026

Contact Us

Building Department

Office Hours

Monday-Friday
8:00 A.M. - 4:30 P.M.

Contact Information

Phone: 386-758-1008
Fax: 386-758-2160

Email: bldginfo@columbiacountyfla.com

Location

135 NE Hernando Ave.
Lake City, FL 32055 (opens in new window)

Mailing Address

P.O. Box 1529
Lake City, FL 32056-1529

Public Records

Public records policy and fees

Board of County Commissioners
Tel. (386) 758-1326
Fax: (386) 758-2182
Email: publicrecords@columbiacountyfla.com

Mailing Address:
P.O. Box 1529
Lake City, FL 32056-1529

Citizen Feedback

Let us know how we're doing

ADA Accessibility

Columbia County is committed to ensuring accessibility to this website regardless of disability. If anyone encounters a feature on this website that is inaccessible due to a disability, please contact the Columbia County ADA Coordinator at (386) 758-3344. You may also email that office at hr@columbiacountyfla.com and provide a brief description of the inaccessible feature.

Columbia County strives to provide reasonable accommodations to help people with disabilities have an equal opportunity to participate in our public meetings. Please notify our ADA Coordinator at least 48 hours prior to the public meeting by calling (386) 758-3344.